
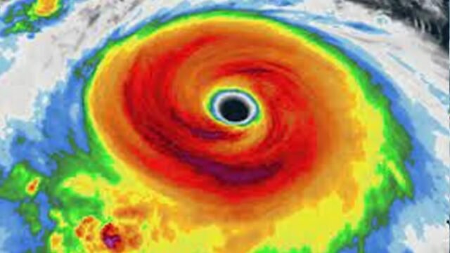
ফিলিপাইন সাগরে সৃষ্ট ‘নান্দো’ নামের সামুদ্রিক ঝড়টি সোমবার (২২ সেপ্টেম্বর) ‘সুপার টাইফুনে’ পরিণত হতে পারে বলে জানিয়েছে দেশটির রাষ্ট্রীয় আবহাওয়া ব্যুরো। সোমবার সুপার টাইফুনে পরিণত হতে পারে বলে জানিয়েছে ফিলিপাইনের রাষ্ট্রীয় আবহাওয়া ব্যুরো। এমন আশঙ্কায় ইতোমধ্যে অভ্যন্তরীণ ও স্থানীয় সরকার মন্ত্রণালয় (ডিআইএলজি) একটি জরুরি নির্দেশনা জারি করা হয়েছে। মন্ত্রণালয় ঝুঁকিপূর্ণ এলাকার স্থানীয় প্রশাসনকে বাসিন্দাদের দ্রুত সরিয়ে নেওয়ার নির্দেশ দিয়েছে। বিশেষ করে উপকূলীয় অঞ্চল, নিচু এলাকা এবং ভূমিধসের ঝুঁকিতে থাকা মানুষকে নিরাপদ আশ্রয়ে যেতে বলা হয়েছে।
শনিবার (২০ সেপ্টেম্বর) এক প্রতিবেদনে এ তথ্য জানিয়েছে ফিলিপাইন নিউজ এজেন্সি।
এই অবস্থায় জনগণের প্রতিরোধ ক্ষমতা বাড়ানো এবং জীবন রক্ষা করার উদ্দেশ্যে প্রেসিডেন্ট মার্কোস নির্দেশে এসব নির্দেশনা জারি করা হয়েছে।
ফিলিপাইন নিউজ এজেন্সির তথ্যমতে, টাইফুন আঘাত হানার সময় জননিরাপত্তা নিশ্চিত করতে জনগণের প্রতি কিছু নিয়ম জারি করেছে। এর মধ্যে রয়েছে সমুদ্রে সব ধরনের নৌযান চলাচল বন্ধ রাখা এবং মদ্যপান নিষিদ্ধ করা। আবহাওয়া স্বাভাবিক না হওয়া পর্যন্ত ছোট নৌকা বা মাছ ধরার ট্রলার সমুদ্রে যেতে পারবে না বলেও নির্দেশনা দেওয়া হয়েছে।
স্থানীয় প্রশাসনকে বলা হয়েছে, পর্যাপ্ত ত্রাণসামগ্রী, বিদ্যুৎ সরবরাহ এবং মানবিক সহায়তা দিয়ে আশ্রয়কেন্দ্রগুলো প্রস্তুত রাখতে। এই আশ্রয়কেন্দ্রগুলো ঝড়ে বাস্তুচ্যুত হওয়া মানুষ এবং যারা নৌকা চালাতে পারেন না তাদের জন্য ব্যবহার করা হবে। এ ছাড়া কর্তৃপক্ষকে আবহাওয়া পরিস্থিতি নিয়মিত পর্যবেক্ষণ করতে বলা হয়েছে। স্বাস্থ্য বিভাগ ও উদ্ধারকারী দলগুলোকে প্রস্তুত রাখা এবং সম্ভাব্য বিপদ এড়াতে জলপথ পরিষ্কার রাখার নির্দেশও দেওয়া হয়েছে। পাথর ও খনি এলাকাগুলো পরিদর্শন এবং বাঁধের অবস্থা যাচাই করার জন্যও বলা হয়েছে।
ঝড়টি সুপার টাইফুনে পরিণত হলে বাতাঁনেস-বাবুয়ান দ্বীপপুঞ্জের পাশ দিয়ে অতিক্রম করবে। এই অবস্থায় বাতাঁনেস, কাগায়ান, ইলোকোস নর্তে, ইলোকোস সুর এবং কাগায়ানের সমুদ্র উপকূলবর্তী এলাকায় জলোচ্ছ্বাসের সতর্কতা জারি করা হয়েছে।












































