
প্রবল শক্তি নিয়ে উপকূলের দিকে ধেয়ে আসছে সুপার টাইফুন রাগাসা। এমন পরিস্থিতিতে ফিলিপাইন ও তাইওয়ানের কিছু জায়গা থেকে সাধারণ মানুষকে সরিয়ে নেওয়া হচ্ছে।
ফিলিপাইনের জাতীয় আবহাওয়া সংস্থা জানিয়েছে, কম জনবসতির বাতানেস এবং বাবুয়ান দ্বীপে আগামী মঙ্গলবার (২৩ সেপ্টেম্বর) সন্ধ্যায় টাইফুনটি আঘাত হানতে পারে। প্রশান্ত সাগরে সৃষ্ট সামুদ্রিক ঝড়টি ‘দ্রুত বিস্তৃত’ হচ্ছে বলেও জানিয়েছে তারা।
ফিলিপাইনে টাইফুনটিকে ‘নান্দো’ হিসেবে অভিহিত করা হচ্ছে। অপরদিকে এটির আন্তর্জাতিক নাম দেওয়া হয়েছে রাগাসা।
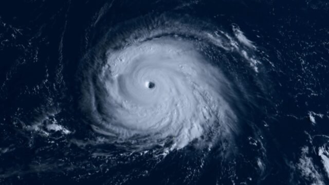
আজ রোববার স্থানীয় সময় সকাল ১১টা পর্যন্ত সুপার টাইফুনটির মূল কেন্দ্রের বাতাসের গতিবেগ ছিল ১৮৫ কিলোমিটার প্রতি ঘণ্টা। অপরদিকে এটির ঝড়ো গতিবেগ ছিল ২৩০ কিলোমিটার প্রতি ঘণ্টারও বেশি।
ফিলিপাইনের স্বরাষ্ট্র মন্ত্রণালয়ের সেক্রেটারি জোনভিক রেমুল্লা এক বিবৃতিতে বলেছেন, “ঝুঁকিপূর্ণ এলাকায় বসবাসরত পরিবারকে দ্রুত সরিয়ে নিতে স্থানীয় কর্মকর্তারা যেন কোনো কালক্ষেপণ না করেন।”
অপরদিকে তাইওয়ান বলেছে তাদের পূর্বাঞ্চলের হাউলিয়েন এলাকা থেকে ৩০০ মানুষকে সরিয়ে নিতে হবে। তবে টাইফুনের গতিবিধির ওপর নির্ভর করে এ সংখ্যা পরিবর্তিত হতে পারে।
তাইওয়ানের আবহাওয়া প্রশাসন বলেছে, “আমরা ধারণা করছি আজ রাতে একটি স্থল টাইফুনের সতর্কতা জারি করা হতে পারে এবং কাল সকাল ৬টায় তাইওয়ানের সমুদ্রতীরবর্তী স্থানে টাইফুনটি আসতে পারে।”
ফিলিপাইনের আবহাওয়া বিশেষজ্ঞ জন গ্রেন্ডার আলমারিও রোববার এক সংবাদ সম্মেলনে বলেছেন, সুপার টাইফুনের প্রভাবে মূল দ্বীপ লুজনের উত্তরাঞ্চলে ‘প্রবল বন্যা ও ভূমিধসের’ ঘটনা ঘটতে পারে।
তিনি আরও বলেছেন, “আমরা ধারণা করছি সুপার টাইফুনের প্রভাব আজ রাত থেকে আমরা পাব। সবচেয়ে শক্তিশালী প্রভাব পড়বে কাল সকাল ৮টায়।”
সুপার টাইফুনের কারণে ফিলিপাইনের রাজধানী ম্যানিলাতেও ভারী বৃষ্টিপাত হতে পারে। যেখানে আজ দুর্নীতির বিরুদ্ধে হাজার হাজার মানুষ রাস্তায় নেমেছিলেন।
সূত্র: এএফপি












































